|
|
|
|
|
|
|
|
|
|
|
 |
|
|
|
|
|
|
|
|
|
|
|
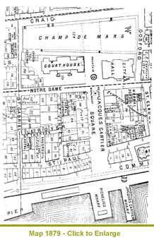
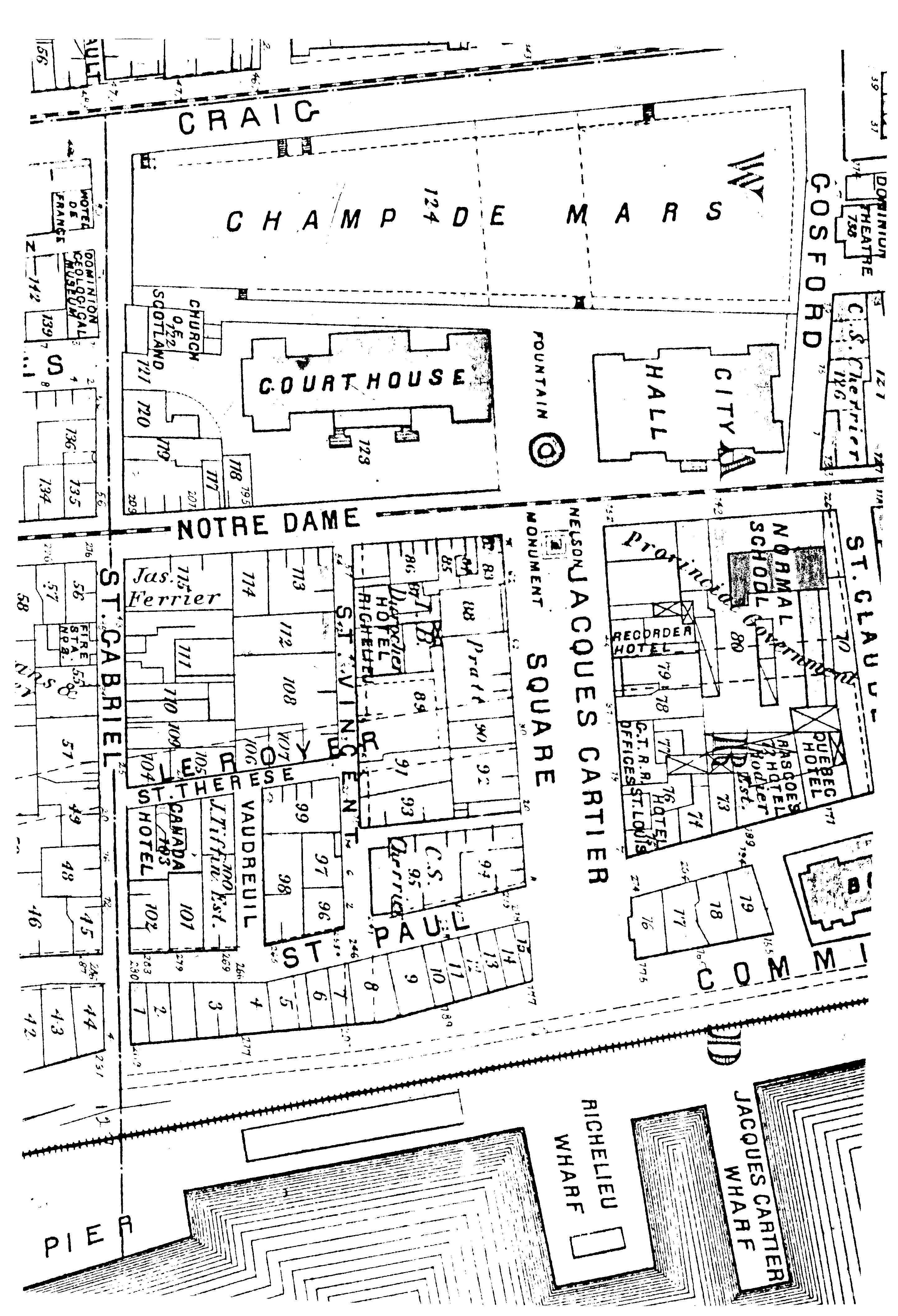
On the morning of March 3, 1857 at precisely "eleven o'clock in the forenoon" the Jacques Cartier Normal School was officially opened "and conducted with great éclat" by Superintendent of Education, the Hon. P. J. O. Chauvreau. The Jacques Cartier Normal School was mandated to train teachers for the Catholic schools of the city. The 1857-58 class would consist of 18 male pupil-teachers. The school was housed in the Château Ramezay, across from the Montreal City Town Hall.
|
 |
|
|
|
|
|
|
|
|
|
|
The press would report: |
|
|
|
There were present: their Lordships the R.C. Bishops of Montreal and Cydonia, His Excellency Sir Wm. Eyre, Commander of H.M. Forces in British North America, His Honor the Mayor of Montreal, the Reverend Superiors of the Seminary of Montreal, and the St. Mary's College, with several of the Professors of the latter institution; also the Honorable Messrs. Bourret and Ferrier, Dr. W. Nelson, C .S. Cherrier Esq. Q.C., Mr. Principal Dawson with several of the Professors from the McGill College, and also of those appointed to the McGill Normal School, besides a great number of ladies.
|
|
|
|
|
|
|
|
|
|
|
|
|
The Honorable the Superintendent of Education having taken the chair, called upon His Lordship the R.C. Bishop of Montreal to open the meeting with a prayer, to which his Lordship immediately responded, and a [choir] of amateurs under the able direction of Mr. Labelle lately appointed an associate professor of the school, sang the sentence “Ecce quam bonum” by l'Abbé Lambilotte with great effect, which was followed by the national song "A la claire Fontaine," after which the meeting was addressed by the chairman, the Honorable the Superintendent of Education.
|
 |
|
|
|
|
|
|
|
|
|
THE CHAIRMAN, on arising, was received with great applause. After having read in French the letter from His Excellency the Governor General, he began his address by an allusion to the changes that had taken place in the very spot where he was speaking... where the immortal sailor of St. Malo, Jacques Cartier... had planted the cross in the year 1535... Upon reading an extract from Cartier's memoirs… its appropriateness, and the originality and beauty of the old French, in which it is written, elicited great applause from the audience. The last address of the ceremonies was by Mr. Regnaud. When he concluded he resumed his seat amidst loud and long continual cheering.
|
|
|
|
|
|
|
|
|
|
|
|
|
After some concluding remarks from the Superintendent, the choir sang, “Partout pour la Syrie” and “God Save the Queen” and the meeting adjourned. |
 |
|
|
|
|
|
|
|
|
| Close this window |
McGill Faculty of Education
3700 McTavish Street, Montreal, Quebec
Tel: 514-398-7042 - Fax: 514-398-4679 |
|